![]()
|
|
|
|
|
6月6日 上田様 筏でカワハギ23cmまで7尾 アジ32cm 1尾 ヘダイ3尾 |
|
|
|
6月6日 田中様 筏でカワハギ23cmまで15尾 |
|
|
|
6月4日 御辺様 榎木様 ソモザキ筏 チヌ44cmまで3尾(餌:ボケ、オキアミ) |
|
|
|
6月4日 上辻様 筏でカワハギ18尾 |
|
|
|
6月4日 稲垣様 筏でカワハギ11尾 ウマズラ1尾 |
|
|
|
6月4日 佐野様 筏でカワハギ12尾 |
|
|
|
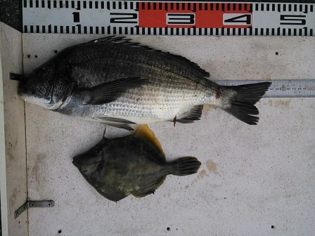
6月2日 瀧川様 他 筏で平目34cm 1尾 真鯛1尾 他 カワハギ、グレ |
|
|
|
6月2日 梅田様 筏で平目34cm 1尾 他 カワハギ、チャリコ、キス、マメアジ |
|
|
|
6月2日 小嶋様 筏で平目32cm 1尾 (餌:マメアジ) |
|
|
|
6月1日 高橋様 磯でアオリイカ1500gまで3杯(ヤエン) |
|
|
|
6月1日 平野様 3名 アオリイカ仕立て船 800gまで5杯 |
|
|
|
6月1日 山本様 磯でグレ 20〜30cmまで30尾 |
|
|
|
6月1日 高野様 筏でカワハギ5尾 他 アイゴ、グレ、マメアジ |
|
|
|
5月30日 豊田様 筏でチヌ45cmまで3尾(餌:オキアミ、コーン、サナギ) 他 カワハギ、ボラ |
|
|
|
5月30日 隅田様 4名 キス仕立て船 25cmまで約130尾 カワハギ11尾 |
|
|
|
5月28日 恒川様 筏でカワハギ、サンバソウ、グレ |
|
|
|
5月28日 山本様 2名 アオリ仕立て船 800gまで4杯 |
|
|
|
5月26日 小島様 筏でカワハギ4尾 ヘダイ5尾 |
|
|
|
5月26日 三浦様 筏でグレ26〜30cm 3尾 |
|
|
|
5月26日 杉本様 磯で真鯛 33cm 1尾 他 キス |
|
|
|
5月26日 渡邊様5名 キス仕立て船 27cmまで約100尾 他 カワハギ |
|
|
|
5月25日 西谷様 筏でチヌ47cm 1尾 他 カワハギ、ヘダイ |
|
|
|
5月25日 今村様 ソモザキ筏 チヌ43cm (丸貝) 1尾 |
|
|
|
5月25日 荻久保様 3名 キス仕立て船 24cmまで約70尾 |
|
|
|
5月24日 北川様 磯でアオリイカ 1400g 1300g 2杯 (ヤエン) |
|
|
|
5月24日 藤野様 筏でカワハギ29cmまで6尾 ヘダイ2尾 |
|
|
|
5月22日 榎木様 ソモザキ筏 チヌ 43cm 1尾 (餌:ボケ) |
|
|
|
5月22日 加藤様 筏でサヨリ37cmまで9尾 カワハギ3尾 他 マメアジ |
|
|
|
5月22日 田中様 筏でグレ27cmまで多数 カワハギ1尾 |
|
|
|
5月22日 分部様 磯でアオリイカ 800gまで4杯 |
|
|
|
5月21日 三橋様 筏でチヌ41cm 1尾 真鯛 40cm 1尾 |
|
|
|
5月21日 大生様 筏で平目30cm 1尾 他 カワハギ、サヨリ4尾、マメアジ多数 |
|
|
|
5月19日 前田様 2名 キス仕立て船 25cmまで約70尾 |
|
|
|
5月15日 高橋様 筏でボラ 6尾 |
|
|
|
5月14日 杉野様 筏でグレ31cm 1尾 真鯛30cm 1尾 他 カワハギ |
|
|
|
5月13日 信時様 ソモザキ筏 チヌ45cmまで2尾 |
|
|
|
5月13日 佐藤様 筏でチヌ39cm 1尾 真鯛43cm 1尾 他 グレ |
|
|
|
5月12日 川口様 ソモザキ筏でチヌ 50cm 1尾 (餌:サナギ) アオリイカ400g 1杯 |
|
|
|
5月12日 都様ファミリー 船釣りキス24cmまで約90尾 |
|
|
|
5月12日 長谷様 表郷筏でチヌ27cm 1尾 他 ヘダイ、グレ |
|
|
|
5月10日 三井様 筏でチヌ34cm シマアジ36cm 他 カワハギ、キス、ボラ グレ |
|
|
|
5月10日 生駒様 筏でヘダイ、カワハギ、グレ |
|
|
|
5月9日 上田様 筏でチヌ 39cm 1尾(餌:オキアミ)他 グレ、カワハギ、ボラ |
|
|
|
5月9日 伊藤様4名 キス船釣り 25cmまで約100尾 他 カワハギ、チャリコ |
|
|
|
5月8日 澤渡様 ソモザキ筏 チヌ 52cm 1尾(餌:オキアミ) カレイ1尾 |
|
|
|
5月8日 中西様3名 仕立て船 アオリイカ 800gまで6杯 |
|
|
|
5月6日 圧延様一行 筏で真鯛2尾 他 ボラ、アジ、カワハギ、グレ、キュウセン |
|
|
|
5月6日 植松様 筏でキス 19尾 |
|
|
|
5月4日 鈴木様 表郷西 マゴチ50cm 1尾 カレイ2尾 |
|
|
|
5月4日 新徳様2名 仕立て船 アオリイカ1100gまで6杯 リリ1杯 |
|
|
|
5月3日 佐藤様4名 船釣りキス 25cmまで約100尾 カワハギ3尾 |
|
|
|
5月2日 鈴木様3名 船釣りキス 25cmまで約110尾 |
|
|
|
お知らせ GW3日〜6日 筏、磯とも空きが有りますのでご予約お待ちしてます。 |
|
|
|
5月1日 大渡様 筏でチヌ47cm 1尾 真鯛42cmまで3尾 ハナオレ38cm 1尾 真蛸1杯 |
|
|
|
5月1日 秀様 筏でカワハギ1尾 他 グレ24cmまで多数 アジ、カサゴ |
|
|
|
5月1日 谷口様 磯でチヌ 50cm 1尾(餌:サナギ、コーン) |
|
|
|
4月30日 K様 磯でアジ 32cmまで6尾 |
|
|
|
4月29日 市江様 筏でカワハギ 26cmまで4尾 |
|
|
|
4月29日 三浦様3名 仕立て船 アオリイカ800gまで7杯 |
|
|
|
4月28日 池田様 筏でチヌ 50cm 1尾 (餌:ボケ) |
|
|
|
4月28日 小林様ファミリー 筏でキス 27cmまで69尾 |
|
|
|
4月28日 上野様 表郷筏 ハタマス33cm 1尾 他 グレ |
|
|
|
4月28日 初古様 磯でアオリイカ 700g 1杯 |
|
|
|
4月28日 岩本様4名 仕立て船 アオリイカ1300gまで4杯 |
|
|
|
4月27日 宇野様 筏でアジ28cmまで3尾 他 キス、チャリコ |
|
|
|
4月27日 植松様 筏でアオリイカ700g 1杯 他 キス、チャリコ |
|
|
|
4月21日 島津様 筏で真鯛 54cm 1尾 シマアジ42cm 1尾 |
|
|
|
4月21日 神山様 筏でグレ 23〜25cm 7尾 |
|
|
|
4月20日 羽柴様 磯でチヌ 43cm 1尾 グレ28cmまで多数 |
|
|
|
4月20日 船橋様 筏でハナオレダイ 34cm 1尾 |
|
|
|
4月20日 鈴木様2名 キス&アオリ仕立船 アオリ700g1杯 キス約100尾 |
|
|
|
4月18日 石上様4名 キス仕立て船 13〜27cm 約130尾 |
|
|
|
4月17日 伊藤様 表郷筏 真鯛43cm 1尾 他 グレ、ハタマス |
|
|
|
4月15日 笹島様 磯でチヌ47、49cm 2尾 |
|
|
|
4月14日 岡田様 磯でアジ33cmまで6尾 他 カサゴ、メバル |
|
|
|
4月14日 楠本様 磯でチヌ39cmまで2尾 |
|
|
|
4月14日 伊藤様 表郷西筏 グレ33cm 1尾 真鯛32cm 1尾 |
|
|
|
4月13日 楠本様 磯でチヌ 52cmまで5尾 |
|
|
|
4月13日 三井様 表郷西筏 真鯛42cm 1尾 グレ27cmまで7尾 |
|
|
|
4月13日 河本様 筏で真鯛 40cm 1尾 他 ボラ |
|
|
|
4月12日 河野様 筏でイシダイ30cm 1尾 他 真鯛、カレイ |
|
|
|
|
|
4月11日 中本様 筏でワラサ68cm 1尾 他 ボラ |
|
|
|
4月11日 中西様3名 仕立て船 アオリ850gまで7杯 |
|
|
|
4月9日 信時様 筏でチヌ 49cm 1尾 (餌:オキアミ) |
|
|
|
4月9日 浅井様 筏で真鯛 44cm 1尾 他 カワハギ、ボラ |
|
|
|
4月8日 真田様 筏で真鯛 54cm 1尾 チヌ30cm 1尾 他 アジ、カワハギ |
|
|
|
4月8日 笠見様 磯でチヌ35cm 1尾 グレ31cmまで4尾 |
|
|
|
4月7日 長谷様 筏で真鯛 53cmまで3尾 他 グレ |
|
|
|
4月6日 羽柴様 磯でチヌ 52cm 1尾 |
|
|
|
4月5日 水野様 筏で真鯛42cmまで15尾 チヌ32cm 1尾 他 カワハギ |
|
|
|
4月4日 岡田様 磯でチヌ47cmまで2尾 |
|
|
|
4月4日 杉野様 磯でチヌ 45cm 1尾 |
|
|
|
4月4日 小泉様 筏で真鯛25〜52cmまで5尾 グレ28cm 1尾 |
|
|
|
4月4日 恒川様 筏で真鯛 40cm 1尾 |
|
|
|
4月4日 太田様 筏で真鯛 40cm 1尾 他 ボラ |
|
|
|
4月2日 田坂様 筏でカワハギ25cm 1尾 ボラ 3尾 |
|
|
|
3月31日 楠本様 磯でチヌ51,5cm 51cm含み9尾 |
|
|
|
3月31日 杉本様 磯でチヌ 46cmまで3尾 他 グレ、メバル、カサゴ |
|
|
|
3月31日 尾薗様 磯でチヌ 48cm 1尾 |
|
|
|
3月31日 吉田様 表郷筏 カレイ40cm 1尾 |
|
|
|
3月31日 長谷様 筏で真鯛40cm 2尾 カサゴ 27cm 1尾 |
|
|
|
3月30日 山元様 磯でチヌ 50cm 1尾 |
|
|
|
3月30日 村林様 3名 ティップラン モンゴウ5杯 |
|
|
|
3月28日 塚原様 筏で真鯛 40cmまで2尾 アジ30cm 1尾 他 ボラ |
|
|
|
3月27日 隅田様 2名 磯でサヨリ 28〜37cm 26尾 |
|
|
|
3月24日 池田様 2名 筏で真鯛 45cmまで11尾(餌:ボケ、オキアミ) |
|
|
|
3月24日 林様 磯でチヌ51,5cmまで4尾 |
|
|
|
3月24日 大王様 磯でチヌ50cmまで3尾 |
|
|
|
3月24ひ 宮崎様 磯でチヌ48cmまで2尾 |
|
|
|
3月24日 鏡様 磯でチヌ 46cm 1尾 |
|
|
|
3月24日 橋本様 磯でチヌ 45cmまで3尾 |
|
|
|
3月23日 福安様 磯でチヌ 46cmまで2尾 |
|
|
|
3月23日 高木様 磯でチヌ 46cmまで3尾 |
|
|
|
3月23日 中西様 磯でチヌ 50,5cm 1尾 |
|
|
|
3月23日 楠本様 磯でチヌ 28〜46cm 2尾 |
|
|
|
3月23日 岡田様 筏で真鯛 27〜42cmまで9尾 (餌:ボケ、オキアミ) |
|
|
|
3月23日 栗田様 筏で真鯛 40cm 1尾 |
|
|
|
3月22日 伴様 筏でチヌ40〜52cm 6尾 真鯛38〜47cm 7尾 カレイ42cm 1尾 (餌:ボケ、オキアミ) |
|
|
|
3月22日 小片様 筏でチヌ 50cm 1尾 真鯛38cm 1尾 (餌:オキアミ) |
|
|
|
3月21日 谷口様 磯でチヌ51、52cm 2尾 (餌:オキアミ) (同サイズ1尾がストリンガーから外れ放流) |
|
|
|
3月20日 楠本様 磯でチヌ 40〜48cm 6尾 (餌:オキアミ) |
|
|
|
3月20日 尾薗様 磯でチヌ 49cm 1尾 |
|
|
|
3月20日 宮崎様 磯でチヌ 43cm 1尾 |
|
|
|
3月20日 小泉様 筏でチヌ38cmまで2尾 真鯛40cmまで7尾(餌:ボケ、オキアミ) |
|
|
|
3月20日 太田様 筏で真鯛45cmまで2尾 |
|
|
|
3月19日 浅井様 筏でチヌ 45cmまで2尾 真鯛50cmまで5尾(餌:ボケ、オキアミ) |
|
|
|
3月19日 中西様 磯でチヌ 47cm 1尾 |
|
|
|
3月19日 河田様 磯でチヌ 37cm 1尾 |
|
|
|
3月17日 向出様 磯でチヌ 51、49、40cm 3尾 (餌:オキアミ) |
|
|
|
3月17日 笹島様 磯でチヌ 48cm 1尾 |
|
|
|
3月17日 曽根様 磯でチヌ 40cmまで3尾 |
|
|
|
3月17日 川本様 筏でチヌ45〜46cm 2尾 真鯛40cmまで3尾 (餌:ボケ) |
|
|
|
3月16日 岡田様 筏でチヌ 44cm 1尾 真鯛37〜44cm 11尾(餌:ボケ、むき身) |
|
|
|
3月16日 橋本様 磯でチヌ 38〜50cm 2尾 (餌:オキアミ) |
|
|
|
3月16日 山本様 磯でチヌ 46cm 1尾 |
|
|
|
3月11日 笠見様 磯でチヌ 46cm 1尾 |
|
|
|
3月11日 向出様 磯でチヌ 45cm 1尾 |
|
|
|
3月10日 楠本様 磯でチヌ 49cm 1尾 |
|
|
|
3月10日 鏡様 磯でチヌ 41cmまで2尾 |
|
|
|
3月10日 住様 磯でチヌ 44p 1尾 |
|
3月10日 河田様 磯でチヌ 39cm 1尾 |
|
|
|
3月10日 小泉様 筏で真鯛 40cmまで3尾 |
|
|
|
3月9日 羽柴様 磯でチヌ 50cm 1尾 |
|
|
|
3月9日 加藤様 磯でチヌ 48cm 1尾 |
|
|
|
3月9日 渡辺様 筏で真鯛 40cm まで4尾 |
|
|
|
3月8日 橋本様 磯でチヌ 51、50、38cm 3尾 |
|
|
|
3月8日 宮崎様 磯でチヌ 52cm 1尾 |
|
|
|
3月8日 伴様 筏で真鯛 43cmまで3尾 |
|
|
|
3月6日 山中様 筏でチヌ 49cm 1尾 真鯛 40cmまで2尾 (餌:シラサ) |
|
|
|
3月6日 渥美様 磯でチヌ 44cmまで3尾 (餌:オキアミ) |
|
|
|
3月5日 中西様 3名 ティップラン モンゴウ1260gまで6杯 |
|
|
|
3月2日 森本様 筏でチヌ 47cm 1尾 真鯛 35p 1尾 (餌:オキアミ) |
|
|
|
3月2日 宮崎様 磯でチヌ 45cmまで2尾 |
|
|
|
2月28日 橋本様 磯でチヌ 52,5cm 1尾 (餌:オキアミ) |
|
|
|
2月24日 出口様 磯でキビレ 44p1尾 |
|
|
|
2月23日 山田様 磯でチヌ 35〜50cm 2尾 |
|
|
|
2月22日 野村様 磯でチヌ 45p 1尾 |
|
|
|
2月21日 橋本様 磯でチヌ 45cm 1尾 |
|
|
|
2月20日 尾薗様 磯でチヌ 35〜54cm 2尾 (餌:オキアミ) |
|
|
|
2月17日 池田様3名と船頭の釣果 ティップン&餌釣り アオリ1杯 モンゴウ4杯 ヤリ3杯 他 カワハギ、めばる |
|
|
|
2月16日 大王様 磯でチヌ 49、48、45cm 3尾 (餌:サナギ) |
|
|
|
2月16日 楠本様 磯でチヌ 40cmまで2尾 (餌:オキアミ) |
|
|
|
2月16日 山本様 磯でチヌ 40cm 1尾 (餌:オキアミ) |
|
|
|
2月14日 谷口様 磯でチヌ 51cm 1尾 |
|
|
|
2月14日 畝原様 2名 ティップラン モンゴウ1200gまで5杯 |
|
|
|
2月12日 中西様 磯でチヌ 45cmまで3尾 |
|
|
|
2月10日 池田様 筏で真鯛 40cm 1尾 |
|
|
|
2月10日 美濃部様 3名 ティップラン アオリ1杯 モンゴウ8杯 |
|
|
|
2月9日 林様 磯でチヌ 48p1尾 |
|
|
|
2月7日 谷口様 磯でチヌ 38cm 1尾 |
|
|
|
|
|
2月5日 中條様 3名 ティップラン アオリ1700gまで2杯 モンゴウ1440gまで9杯 |
|
|
|
2月3日 宮崎様 磯でチヌ 45cm 1尾 |
|
|
|
2月3日 分部様 船釣りグレ 20〜30cm 35尾 |
|
|
|
2月2日 羽柴様 磯でチヌ 52cm 1尾 |
|
|
|
2月2日 楠本様 磯でチヌ 36cm 1尾 |
|
|
|
1月31日 中西様2名と船頭の釣果 ティップラン モンゴウ1200gまで26杯 ホウボウ1尾 |
|
|
|
|
|
|
|
|
|
|
|
|
|
|
|
|
|
|